塩崎駅の不動産物件一覧

現在の検索条件を見る

  • 路線・駅:JR線中央本線(東日本)塩崎

12件11〜12件を表示

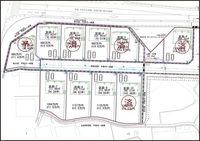
★山梨県甲斐市大垈【ミライズステージ大垈】
★現地【セブンイレブン甲斐大垈店】隣接地
★第2期…

Thumb bf5beae0d6
Thumb 3bf5132c86
  • おすすめ
  • NEW

山梨県甲斐市大垈『ミライズステージ大垈』【第2期新築分譲地【全10区画】区画8号地

山梨県甲斐市大垈490

中央本線(東日本) 塩崎駅 徒歩 26分

面積建ぺい率容積率価格検討中
318.77㎡(96.42坪)70%200%1157万円{{buttonLabel}}

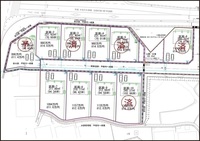
★山梨県甲斐市大垈【ミライズステージ大垈】
★現地【セブンイレブン甲斐大垈店】隣接地
★第2期…

Thumb aea6d2013b
Thumb dd9510879e
  • おすすめ
  • NEW

山梨県甲斐市大垈『ミライズステージ大垈』【第2期新築分譲地【全10区画】区画10号地

山梨県甲斐市大垈490

中央本線(東日本) 塩崎駅 徒歩 26分

面積建ぺい率容積率価格検討中
340.37㎡(102.96坪)70%200%1236万円{{buttonLabel}}

12件11〜12件を表示